







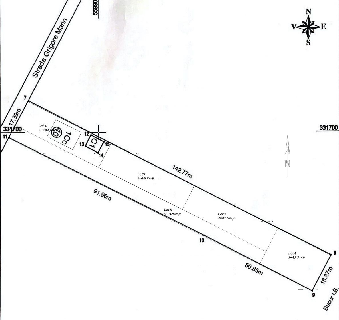
Pe strada Caporal Marin Grigore, stradă ce face legătura dintre Șoseaua Olteniței și Șoseaua Berceni, este disponibil la vanzare un lot de teren de 2.431mp cu o deschidere de 17,4m. Terenul este situat intre loturi construite iar pe el este amplasat o constructie demolabila.
Conform Certificatului de Urbanism este incadrat in zona mixta M3 cu un POT de 65%, un CUT de 2,5 si o inaltime maxima admisa de P+4.
Strada este asfaltata, la 500m se afla statiile STB de autobuz si tramvai de pe Sos. Oltenitei iar la 700m este statia de metrou Aparatorii Patriei. In jur sunt centre comerciale (Kaufland, Lidl), scoli si gradinite.
Terenul este pretabil atat pentru o activitate de servicii, cat si pentru un proiect imobiliar rezidential.
Pentru sănătatea ta și a familiei poți alege un teren situat la o distanță rezonabilă față de mijloacele de transport în comun, unde poți construi casa care îți oferă siguranța și liniștea de care ai nevoie într-un oraș aglomerat.
Pentru mai multe detalii, va rog, sa ma contactati!